狗狗有跳蚤是很常见的事情,但这也会让铲屎官们很头疼。今天我们就来介绍一些狗狗去跳蚤的偏方,老一辈传下来的老办法,很有用!
一、狗狗有跳蚤的表现
1、宠主可以扒开狗狗的毛发,要是狗狗身上有黑点、皮屑等,那就要注意了,这说明狗狗身上有跳蚤了,这些小黑点都是跳蚤的排泄物。
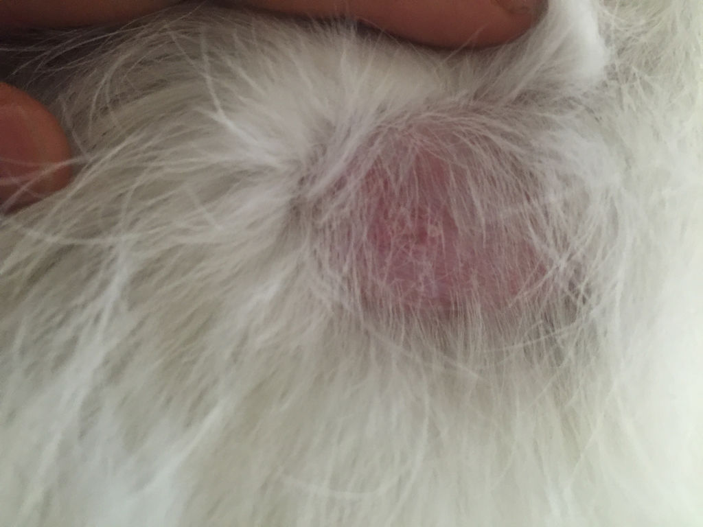
2、狗狗掉毛是很正常的,但如果它的毛发局部只是掉落,而且掉落的部位有红肿的情况,那也说明它的身体有跳蚤了。
3、想知道狗狗是否有跳蚤,那么帮它洗澡的时候可以注意,要是浸泡狗狗的水里,有红色的物质析出,也证明它身上是有跳蚤的。
4、其实如果狗狗身体有跳蚤的话,还有一个很明显的症状,那就是会全身瘙痒,狗狗会不断地用后腿抓身体,甚至会啃咬自己的皮毛,在地上磨屁股等等。
二、帮狗狗去跳蚤的偏方
1、利用柑橘皮
柑橘是很多人喜欢吃的水果,当你吃完柑橘后,橘子皮千万不要扔掉,这是有大作用的,老一辈的人就是用橘子皮来帮狗狗去跳蚤的。
我们可以先把橘子皮绞碎,然后把柑橘皮的汁液挤出、过滤出来,再用开水进行稀释,等柑橘汁液冷冷却后,将其喷洒到狗狗的身体上,很快跳蚤就会死光光的。
2、中药百部煮水
中药百部是非常有用的药材,而老一辈的人也会用百部来给狗狗去跳蚤。
宠主可以将中药百部放在水里煮,大火煮开后,再用小火煮十几分钟,等水温冷却到37-40左右,就可以用来给狗狗洗澡,这时候跳蚤就会跑出狗狗的身体哦。
3、用樟脑丸
樟脑丸在以前是很常用的物品,人们会把它放在衣柜里,除臭、驱赶蟑螂等等,另外,樟脑丸还是给狗狗去跳蚤的偏方。
老一辈的人会将樟脑丸砸碎,然后涂抹到狗狗身上,最后再用毛巾将狗狗身体都包裹起来(头部一定要露出),过半个小时左右,跳蚤一般都会死光的。
最后一定要帮狗狗洗澡,清洁它身上的樟脑丸粉末哦,避免被狗狗舔食。
4、用桃树叶
桃子是常见的水果,但是你知道吗,其实桃树叶的功效也非常多的,还可以用来给狗狗去跳蚤。
宠主可以摘一把新鲜的桃树叶,用来煲水给狗狗洗澡,这对去除狗狗身上的跳蚤非常有用。
另外,还可以将桃树叶捣烂,然后敷在狗狗身上,用毛巾包裹狗狗半个小时左右,这时候跳蚤基本都会死在桃树叶里。
5、用香烟
在我们的印象中,香烟,无论对人,还是对狗的身体都是不好的,但是老一辈的人,却会用香烟帮助狗狗去跳蚤。
香烟中的尼古丁威力是非常大的,可以去除跳蚤。只要将香烟丝放在水中煮10分钟左右,然后,然后过滤掉烟丝,等香烟水冷却后,再将其喷洒到狗身上,跳蚤就会无处可逃。
三、如何预防跳蚤呢?
1、定期驱虫
想要预防狗狗感染寄生虫,那就要定期给它驱虫,这是最有效的手段,而且体内、体外都要驱。
建议体外驱虫每个月进行一次,体内驱虫每三个月一次。
2、注意家居环境卫生
寄生虫最喜欢的就是脏脏的地方了,所以不想狗狗身上有寄生虫,一定要保持家居环境的卫生,另外,狗狗的日常用品,比如狗窝、狗碗等都要定期清洗、消毒,营造一个良好的养宠环境。
3、定期洗澡
除了要保持家居环境卫生外,狗狗自身的卫生也要做好,要定期给狗狗洗澡,建议在夏天的时候,一个星期洗一次,在冬天的时候,可以两周洗一次。
4、不要喂生肉
很多宠主都认为狗狗爱吃肉,所以就会经常给狗狗喂生肉,但是生肉里面含有大量的细菌和寄生虫,狗狗长期吃的话,是很容易感染寄生虫的,可能也会影响健康,所以如果想给狗狗喂肉,一定要煮熟了再喂。
平时也可以给狗狗选择一款含肉量高的狗粮为主食
